Smartography

Smartography is a photo archiving database I wrote recently since I thought it would be fun to do and I've been getting more into digital photography and wanted something that would satisfy my needs. Depending on what I think of to add or change next, it will most likely evolve over time. I am also interested in hearing your suggestions for additions and changes. It is not meant to be a tool to manipulate images, there are plenty of those around. It's meant to help you organize your photos and be able to search for and find the one you are looking for.

Smartography has been developed and mainly tested with Microsoft Access 97. It has been successfully run under Windows 98, ME and 2000. It has not been tested under W95. I have recently recompiled it with Access 2000 under XP and it seems to work fine. All the required files are contained in the appropriate downloadable zip file.  You will also find links to download the Access 97 and Access 2000 runtime executables. These will allow you to run either version on your computer if you do not have Microsoft Access installed. If you do have Access installed, it is advisable not to load the runtime since I have heard it can cause problems. I would suggest using the Access 97 version since it is more likely that future versions will be first available for it. Your display should be set to at least 1024 x 768 for the Smartography dialog windows to fit well on the screen.

You may use this program at your own risk, I offer no guarantee of it operating without problems on your system. I would like to hear about any issues you may be having though. Contact me at nalevine@dcn.org.

 

This is the main dialog box for Smartography.

 

There are 4 major buttons plus the Exit button and several more minor buttons. Main Dialog Box The Import, Export and Delete buttons are present to allow transfer of your data to future enhanced versions of the database.
 

The following images will explain the major buttons.

 

 

This is the main working Manage Photos dialog box for Smartography.

This is where individual new photos are added to the database.

They are also deleted or changed from here.

The images seen here are thumbnails which Smartography creates from your .JPG photo file.

Manage Photos Dialog Box Smartography manages the Photo Number field, but you may enter information in the various other fields that will help you organize  and find your photos.

Double clicking on the image will launch the application associated with the .JPG file type so you can work with your photo.

Hovering the mouse pointer over the image will display EXIF data if available.

 

 

 

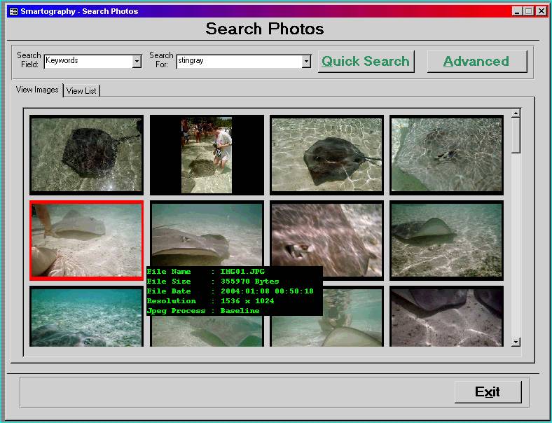
This is the Search Photo dialog box for Smartography.

You pick a search field, then enter a search string. All images which contain that string in that field will be presented.

Right now Smartography is limited to return up to 68 images on a search.

Search Photos Dialog Box  

You can use the View List tab to see the text list result of your search.

Double clicking on an image or a View List row will bring up the Manage Photos dialog box for that image.

Single clicking on an photo highlights the photo and displays its EXIF data if any.

You can also do a more advanced search using the Advanced Search Dialog Box to narrow down the found photos.

Advanced Search Dialog Box

Clicking on the parentheses will determine the logical grouping and outcome of your search.

 

This is the Batch Operations dialog box for Smartography.

This is where you  enter images in bulk to the database.

Fill in the fields as desired to add any common data to ALL photos included  with this batch.

Browse and select the source folder which contains the photos.

If you check "Batch Copy and Load" and select a destination folder, all photos will first be copied to the destination folder  before adding.

Batch Operations Dialog Box This is useful for pulling photos off a digital camera or cd, saving them to your hard drive and adding them to the database with a single step process.

Press "GO" to begin. You will see each new photo as it is added and if Smartography thinks it might be a duplicate, you will see all of the possible duplicates and can choose to add it or not.

 

In order to complete Smartography, or should I say get it to a useful stage as quickly as possible, I've incorporated various helper programs. Smartography Credits Dialog Box By following the links shown in this dialog box, you can learn more about these various programs.

 

Download Smartography Zip File For Access 97 (~330k)

Access 97 Runtime

Download Smartography Zip File For Access 2000 (~300k)

Access 2000 Runtime

08/03/04 10:44 AM